Bất động sản khu vực: Hà Nội

  • Khu công nghiệp Sóc Sơn, Hà Nội

    Thỏa thuận
    m2
    AMILAND được chủ đầu tư ủy quyền chuyển nhượng diện tích đất khu công nghiệp Sóc Sơn, Hà Nội, thông tin chi tiết như sau: Vị trí: nằm trên hai xã Tân...
    07/01/2021
  • Cụm công nghiệp Đại Xuyên A, Hà Nội

    Thỏa thuận
    m2
    Cụm công nghiệp Đại Xuyên A (DIP) được UBND tỉnh Hà Tây cấp giấy chứng nhận đầu tư số 03121000156 ngày 16/11/2007. Mặc dù mới được cấp phép, song theo...
    07/01/2021
  • Cụm công nghiệp Hapro, Hà Nội

    Thỏa thuận
    m2
    Cụm công nghiệp thực phẩm Hapro do Tổng Công ty Thương mại Hà Nội làm chủ đầu tư ở xã Lệ Chi, huyện Gia Lâm với quy mô 32,66ha. Đây...
    06/01/2021
  • Cụm công nghiệp Thanh Oai, Hà Nội

    Thỏa thuận
    m2
    AMILAND xin giới thiệu đến quý khách cụm công nghiệp Thanh Oai, Hà Nội, thông tin chi tiết như sau: Vị trí: cụm công nghiệp thuộc Xã Bích Hòa, huyện Thanh...
    06/01/2021
  • Cụm công nghiệp Lai Xá-Kim Chung, Hà Nội

    Thỏa thuận
    m2
    AMILAND xin giới thiệu đến quý khách cụm công nghiệp Lai Xá-Kim Chung, Hà Nội, thông tin chi tiết như sau: Vị trí: cụm công nghiệp thuộc Xã Kim Chung, huyện...
    06/01/2021
  • Cụm công nghiệp Ngọc Hồi, Hà Nội

    Thỏa thuận
    m2
    Ngày 26/12, UBND TP Hà Nội ban hành Quyết định số 8913/QĐ-UBND thành lập Cụm công nghiệp Ngọc Hồi, huyện Thanh Trì. Theo đó, Cụm công nghiệp Ngọc Hồi tại...
    06/01/2021
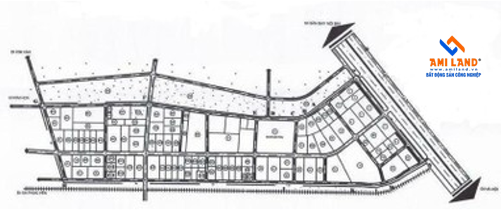
  • Cụm công nghiệp Hà Bình Phương, Hà Nội

    Thỏa thuận
    m2
    Sơ đồ tổng thể Cụm Công nghiệp Hà Bình Phương AMILAND xin giới thiệu đến quý khách cụm công nghiệp Hà Bình Phương, Hà Nội, thông tin chi tiết như...
    05/01/2021
  • Cụm công nghiệp Xuân Thu – Hà Nội

    Thỏa thuận
    m2
    AMILAND – Bất động sản Công nghiệp được nhà đầu tư ủy quyền chuyển nhượng diện tích đất cụm công nghiệp Xuân Thu – Hà Nội, thông tin chi tiết...
    19/11/2020
  • Khu công nghệ cao Hòa Lạc, Thạch Thất, Hà Nội

    Thỏa thuận
    m2
    Khu Công nghệ cao Hoà Lạc là khu Công nghệ cao quốc gia được Thủ tướng Chính phủ thành lập và phê duyệt quy hoạch tổng thể tại Quyết định số 198/1998/QĐ-TTg...
    03/11/2020
  • Khu công nghiệp Bắc Phú Cát, Hà Nội

    Thỏa thuận
    m2
    AMILAND được chủ đầu tư ủy quyền chuyển nhượng diện tích đất khu công nghiệp Bắc Phú Cát, Hà Nội, thông tin chi tiết như sau:   Vị trí: huyện...
    03/11/2020
  • Khu công nghiệp Tân Quang, Hà Nội

    Thỏa thuận
    m2
    AMILAND được chủ đầu tư ủy quyền chuyển nhượng diện tích đất khu công nghiệp Tân Quang, Hà Nội, thông tin chi tiết như sau: Vị trí: xã Kiêu Kỳ,...
    03/11/2020
  • Khu công nghiệp An Khánh, Hà Nội

    Thỏa thuận
    m2
    AMILAND được chủ đầu tư ủy quyền chuyển nhượng diện tích đất khu công nghiệp An Khánh, Hà Nội, thông tin chi tiết như sau: Chủ đầu tư: Công ty...
    03/11/2020
  • Chuyển nhượng 8,3ha đất công nghiệp tại Khu Công Nghiệp Quang Minh, Mê Linh, Hà Nội

    Thỏa thuận
    83000 m2
    AMILAND được Chủ đầu tư ủy quyền cho thuê 83000m2 (8,3ha) đất công nghiệp tại Khu công nghiệp Quang Minh, xã Kim Hoa, huyện Mê Linh, Hà Nội. Thông tin...
    02/11/2020
  • Khu công nghiệp Phụng Hiệp, Hà Nội

    Thỏa thuận
    m2
    AMILAND được chủ đầu tư ủy quyền chuyển nhượng diện tích đất khu công nghiệp Phụng Hiệp, Hà Nội, thông tin chi tiết như sau: Theo quy hoạch chi tiết...
    02/11/2020
  • Khu công nghiệp Thường Tín, Hà Nội

    Thỏa thuận
    m2
    AMILAND được chủ đầu tư ủy quyền chuyển nhượng diện tích đất khu công nghiệp Thường Tín, Hà Nội, thông tin chi tiết như sau: Hà Nội là trung tâm...
    31/10/2020
  • Khu công nghiệp Phùng Xá, Hà Nội

    Thỏa thuận
    m2
    AMILAND được chủ đầu tư ủy quyền chuyển nhượng diện tích đất khu công nghiệp Phùng Xá, Hà Nội, thông tin chi tiết như sau: Hà Nội là trung tâm...
    31/10/2020
  • Khu công nghiệp Minh Khai – Vĩnh Tuy, Hà Nội

    Thỏa thuận
    m2
    AMILAND được chủ đầu tư ủy quyền chuyển nhượng diện tích đất khu công nghiệp Minh Khai – Vĩnh Tuy, Hà Nội, thông tin chi tiết như sau: Hà Nội...
    31/10/2020
  • Khu công nghiệp Đông Anh, Hà Nội

    Thỏa thuận
    m2
    AMILAND được chủ đầu tư ủy quyền chuyển nhượng diện tích đất khu công nghiệp Đông Anh, Hà Nội, thông tin chi tiết như sau: Khu công nghiệp tập trung...
    31/10/2020
  • Khu công nghiệp Sóc Sơn, Hà Nội

    Thỏa thuận
    m2
    AMILAND được chủ đầu tư ủy quyền chuyển nhượng diện tích đất khu công nghiệp Sóc Sơn, Hà Nội, thông tin chi tiết như sau: Chủ đầu tư: Công ty...
    31/10/2020
  • Khu công nghiệp Quang Minh, Hà Nội

    Thỏa thuận
    m2
    AMILAND được chủ đầu tư ủy quyền chuyển nhượng diện tích đất khu công nghiệp Quang Minh, Hà Nội, thông tin chi tiết như sau: Khu công nghiệp Quang Minh...
    31/10/2020
  • Khu công nghiệp Nội Bài, Hà Nội

    Thỏa thuận
    m2
    AMILAND được chủ đầu tư ủy quyền chuyển nhượng diện tích đất khu công nghiệp Nội Bài, Hà Nội, thông tin chi tiết như sau: Chủ đầu tư: Tổng công...
    31/10/2020
  • Khu công nghiệp Nam Thăng Long, Hà Nội

    Thỏa thuận
    m2
    AMILAND được chủ đầu tư ủy quyền chuyển nhượng diện tích đất khu công nghiệp Nam Thăng Long, Hà Nội, thông tin chi tiết như sau: KCN Nam Thăng Long nằm...
    31/10/2020
  • Khu công nghiệp Thạch Thất, Hà Nội

    Thỏa thuận
    m2
    AMILAND được chủ đầu tư ủy quyền chuyển nhượng diện tích đất khu công nghiệp Thạch Thất, Hà Nội, thông tin chi tiết như sau: Khu công nghiệp Thạch Thất...
    31/10/2020
  • Khu công nghiệp Phú Nghĩa, Hà Nội

    Thỏa thuận
    m2
    AMILAND được chủ đầu tư ủy quyền chuyển nhượng diện tích đất khu công nghiệp Phú Nghĩa, Hà Nội, thông tin chi tiết như sau: Khu công nghiệp Phú Nghĩa...
    31/10/2020
  • Khu công nghiệp Thăng Long, Hà Nội

    Thỏa thuận
    m2
    AMILAND được chủ đầu tư ủy quyền chuyển nhượng diện tích đất khu công nghiệp Thăng Long, Hà Nội, thông tin chi tiết như sau: Hà Nội là trung tâm...
    30/10/2020